โบราณสถานวัดน้ำรอบ
โบราณสถานวัดน้ำรอบ 
 
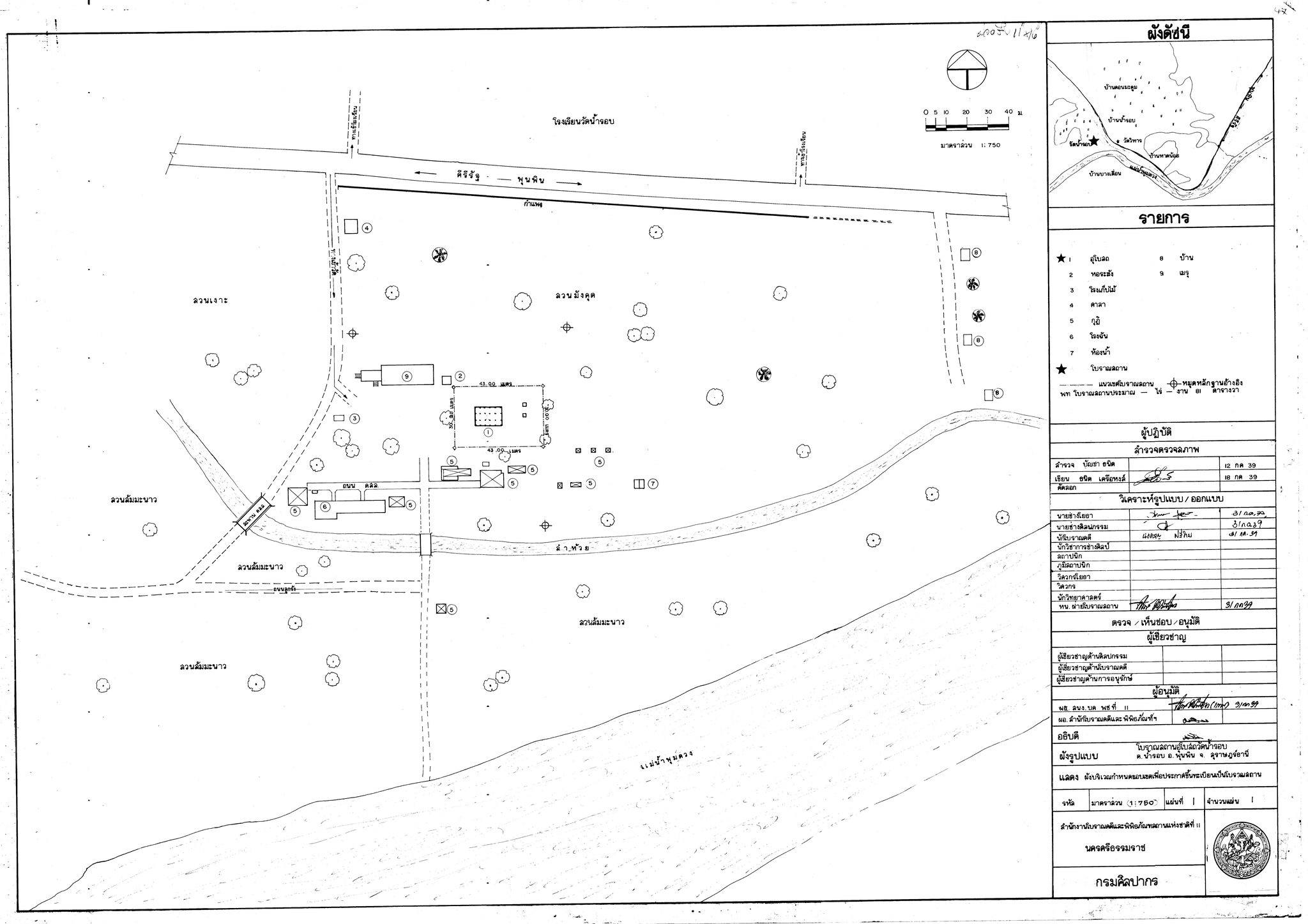
ตั้งอยู่ที่หมู่ ๑ บ้านน้ำรอบ ตำบลน้ำรอบ อำเภอพุนพิน จังหวัดสุราษฎร์ธานี
วัดน้ำรอบ เป็นวัดเก่าแก่ สันนิษฐานว่าสร้างในสมัยอยุธยา พร้อมกันกับวัดถ้ำสิงขร และวัดเขาพระอานนท์ มีตำนานกล่าวว่า ในอดีตมีลูกสาวชาวบ้านน้ำรอบนางหนึ่งได้เป็นพระสนมในพระเจ้าแผ่นดิน พี่ชายมีความปรารถนาที่จะพบน้องสาวจึงบวชเป็นพระไปศึกษาบาลีในเมืองหลวงจนสำเร็จเปรียญ และต่อมาได้รับนิมนต์เข้าไปรับสลากภัตในพระราชวัง ทำให้ได้พบกับพระสนมผู้เป็นน้องสาว พระสนมกราบบังคมทูลให้พระเจ้าแผ่นดินทรงทราบ จึงโปรดให้สร้างวัดขึ้น ๓ วัดคือ วัดถ้ำสิงขร วัดน้ำรอบ และวัดเขาพระอานนท์
 
สิ่งสำคัญภายในวัด ได้แก่ อุโบสถ สร้างด้วยไม้ตำเสา เป็นอาคารทรงไทยหลังคาจั่วมีช่อฟ้าใบระกาและปีกนกรองรับ ๒ ชั้น หลังคาแอ่นโค้งคล้ายท้องสำเภาผนังโบสถ์เป็นผนังเตี้ย ก่ออิฐฉาบปูนตำ อิฐก่อขึ้นมาจากพื้น ไม่มีฐานบัวรองรับเหมือนโบสถ์ทั่วไป สันนิษฐานว่าของเดิมอาจเป็นไม้ทั้งหลัง 
 
ภายในอุโบสถปรากฏงานศิลปกรรมท้องถิ่นสมัยรัตนโกสินทร์ตอนต้น ราวรัชกาลที่ ๓ นอกจากนี้ยังพบเจดีย์ราย ก่ออิฐอีก ๒ องค์ ตั้งอยู่ด้านหน้าอุโบสถทางทิศตะวันออก และฐานเจดีย์ก่ออิฐ ย่อมุมไม้สิบสองขนาดเล็ก เหลือเพียงส่วนฐานกับตอนล่างขององค์ระฆัง อยู่ทางด้านทิศเหนือของอุโบสถ 
 
ส่วนโบราณวัตถุที่พบ ได้แก่ พระพุทธรูปทรงเครื่องประทับยืนปางห้ามญาติ พระพุทธรูปปางอุ้มบาตร สำริด พระพุทธรูปปางห้ามสมุทร พระพุทธรูปปางอุ้มบาตรสำริดลงรักปิดทอง และศิลาจารึก ทำจากหินชนวนเป็นจารึกอักษรไทย ภาษาไทย จารึกใน พ.ศ. ๒๓๙๑ สันนิษฐานว่าเป็นเนื้อความย่อจากเอกสารกัลปนา วัดน้ำรอบ
 
อายุสมัย : สมัยอยุธยา - สมัยรัตนโกสินทร์
โบราณสถานวัดน้ำรอบ ได้รับการประกาศขึ้นทะเบียนโบราณสถานในราชกิจจานุเบกษา เล่มที่ ๑๑๔ ตอนพิเศษ ๘๐ ง หน้า ๕ วันที่ ๑๒ กันยายน ๒๕๔๐ พื้นที่โบราณสถานประมาณ ๘๑ ตารางวา
 
จัดทำโดย
นางสาวเพ็ญณิกา เตี้ยพานิช นักศึกษาฝึกประสบการณ์วิชาชีพสาขาวิชาการจัดการทางวัฒนธรรม
คณะมนุษยศาสตร์และสังคมศาสตร์ มหาวิทยาลัยราชภัฏสุราษฎร์ธานี

(จำนวนผู้เข้าชม 2828 ครั้ง)

black ribbon.